
By Anthony Watts and H. Sterling Burnett
The recent NBC News article, “Climate change is increasing the risk of rapidly intensifying storms. Hurricane Erin is the latest example,” and a similar story published by CNN, are yet additional instances of media hyperbole overshadowing scientific nuance. The claim that climate change is driving the increasingly frequent rapid intensification of hurricanes is unproven and probably flat wrong.
NBC’s story opens dramatically:
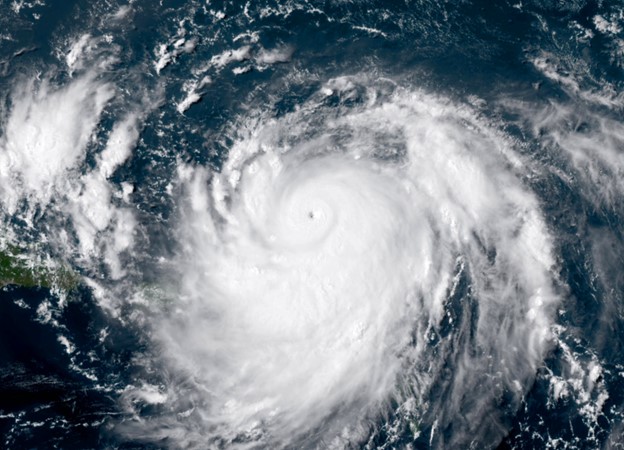
Hurricane Erin strengthened back into a Category 4 behemoth over the weekend, the latest shift in what has been a remarkably fast-changing storm.
The hurricane’s behavior in recent days makes it one of the fastest-strengthening Atlantic hurricanes on record, and yet another indication that climate change is increasing the risk of rapidly intensifying storms.
This framing relies not on a robust dataset or a careful review of historical hurricane behavior, but on a shallow reading of recent high-profile storms and a generous dose of conjecture. The article immediately jumps to the assertion that a single hurricane—Erin—is somehow emblematic of a global, climate-driven trend.

The problem? We simply don’t have the quality or length of observational data required to make such sweeping conclusions.
There is no single, universal definition of “rapid intensification.” Discussions of it are of very recent vintage. When many speak of rapid “intensification” (RI) they define it as an increase in sustained wind speeds of at least 35 mph in 24 hours. This a relatively new entrant in the hurricane lexicon as seen in the figure below from Google nGram tracker:

Before satellite monitoring in the late 1970s, we had only the vaguest idea about the inner workings of tropical cyclones, especially those that stayed at sea. Prior to that, storm intensification was gauged largely by ship reports, land-based observations, and post-storm forensics. How many storms rapidly intensified in the pre-satellite era? The honest answer is: we’ll never know because the data isn’t there.
As Climate at a Glance points out, “Reliable satellite data on global hurricanes only goes back to about 1980.”
Any attempt to compare the frequency or intensity of RI events today to pre-satellite decades is, at best, based on suppositions, assumptions, and guesses about past hurricanes’ wind speeds and development. Pure speculation. Only modern storm tracking allows us to monitor, record—and report—every wiggle and wobble in storm strength that would have gone unrecorded in previous generations. Comparing today’s RI frequency to 1970, 1960, or earlier is like comparing high-resolution digital photos to blurry Polaroids or even woodcut etchings and then to claim the subject has suddenly grown new features.
NBC News references a 2023 study that claims, “tropical cyclones in the Atlantic Ocean were around 29% more likely to undergo rapid intensification from 2001 to 2020, compared to 1971 to 1990.” This sounds seems concerning, until you realize the gaping data-quality chasm between those eras.
Hurricane tracking and wind speed and pressure monitoring before the development and deployment of hurricane aircraft was spotty at best. It was largely made up of guess work or readings from the odd ship that crossed paths with a storm, unless or until a storm made landfall, and particularly, landfall at locations with what was then the state-of-the-art weather data devices. Hurricane aircraft were a giant leap forward, but even then, the awareness of hurricanes could be spotty with many small storms, developing and dying distant from land, being unrecorded or reported. Reaching storms far from land was limited and a drain on resources, and the equipment, rudimentary compared to modern equipment. Satellites revolutionized hurricane tracking in the 1980s. As a result, any statistical analysis that straddles the pre- and post-satellite eras is skating on extremely thin ice.
“From my read of the discussion among scientists, the IPCC report, and the DOE report, my opinion is that technological advancement in recent decades-particularly as it pertains to the capabilities of the Hurricane Hunters, makes it difficult to say definitive things about trends in rapid intensification . . . [t]his is especially so because these things happen out at sea.,” writes Jessica Wienkle, Ph.D., in an analysis of rapid intensification, subtitled, “Our technologies have come a long way!”
“One cannot discredit the first half of the hurricane record for data quality issues and then proclaim definitive things about the latter half of the record because of its high data quality,” Wienkle continues.
Difficulties in comparing past with present hurricane records and trends aside, NBC fails to mention is that NOAA’s own data shows no significant upward trend in either the frequency or intensity of all major Atlantic hurricanes since reliable satellite measurements began. Also when global hurricane data is examined, there is even less evidence for a trend. The IPCC’s Sixth Assessment Report (AR6) states plainly: “There is low confidence in most reported long-term (multi-decadal to centennial) trends in TC [tropical cyclone] frequency- or intensity-based metrics due to changes in observational capabilities.”
What about the record books? Even a cursory glance at NOAA’s historical hurricane database shows that the strongest, most rapidly intensifying hurricanes are not a modern phenomenon. Take Hurricane Wilma (2005), which intensified by 100 mph in 30 hours, or Hurricane Camille (1969), which made landfall as a Category 5 long before the climate panic set in. When you factor in measurement improvements and detection bias, the supposed “trend” toward more rapid intensification evaporates.
NBC News leans heavily on the notion that warmer sea surface temperatures are the “key ingredient” for rapid intensification. But hurricanes are products of many factors—wind shear, atmospheric moisture, ocean heat content, and even dust from the Sahara Desert. Some years, all the ingredients line up. Other years, despite warm water, storms simply fail to materialize or intensify.
Historical hurricane records are rife with examples of natural variability overwhelming any hypothetical climate “signal.” As recently as 2013, forecasters predicted a blockbuster season due to high sea surface temperatures, but reality delivered a below average hurricane season. If warm water were the sole driver, the hurricane trend would be a simple upward slope. Instead, the record is erratic, with decades of fewer landfalls and weak seasons mixed among the headline storms.
The NBC article finally admits, in an aside: “the process of rapid intensification remains difficult to forecast… understanding how it will happen for specific storms—and when—will require more research.” You don’t say!
NBC’s climate reporting reminds me of early Saturday Night Live character, Emily Litella: Famous for building up a huge story and working herself up into a tizzy based on a simple misunderstanding of what someone had said in an editorial or story. Once an anchor explained that Litella had misheard or misunderstood the subject she was responding to, she would famously say, “Oh, that’s very different. Never Mind!” NBC misunderstands what the conclusions one can draw about hurricanes from an all-things-considered weighing of the limited available evidence, blows up an alarming story about worsening rapid intensification and then, in a “never mind,” moment, admits the process is a mystery and “requires more research.”
In the end, what NBC News is serving up isn’t journalism—it’s a dish best described as “climate panic stew.” Take a dash of selective data, toss in a pinch of correlation without causation, and garnish with dramatic satellite imagery and you’ve got a complete ready to consume media dish. But what you won’t find in their recipe is skepticism, context, or any recognition of the limitations in hurricane observation and attribution science. That’s not science reporting; that’s tall tale spinning for political purposes.
Until NBC News is interested in reporting real science, with all its uncertainties and caveats, their climate reporting will remain as stormy as the hurricanes they claim to understand.

The Heartland Institute is one of the world’s leading free-market think tanks. It is a national nonprofit research and education organization based in Arlington Heights, Illinois. Its mission is to discover, develop, and promote free-market solutions to social and economic problems.
Originally posted at ClimateREALISM
We are now coming up to half way through the Hurricane Season and Erin is the first. It’s predicted to be above average this year. Much the same in the Pacific. Hold on to your hat. Oh, by the way, anybody know why so few cyclones in the southern hemisphere ? Eh?
I hope not, but there is plenty of time to have serious hurricanes still, just not predicted ones. Predictions are biased so strongly by the desire for climate disaster at the weather bureaus that even Erin is written up as a near disaster.
I gave a quick answer to your question about ‘location, location, location’ above.
The more the MSM peddle their hidebound but scientifically bankrupt narrative…the easier it is to demolish…
” … their climate reporting will remain as stormy as the hurricanes they claim to understand.”
Stormy sells.
Yes, I thought that fell flat too. See my suggested edits above.
There is nothing climate change can not do as published by a climate scientist they are a special breed and cult.
It is the primal cause of all evil! The new Satan. /s
“a Category 4 behemoth”
OMG! how scary, we better stayed tuned to NBC and CNN!
Wasn’t it a Category 5 earlier? So it WEAKENED, despite all that “warm water” in the Atlantic that is supposed to “supercharge” it.
🙄
There will hardly ever be storms with winds in excess of 150 knots, when the eye wall contracts so far a new eye wall replacement cycle occurs and the old wall collapses and wind and pressure are reduced due to larger eye wall Dia.
Of course everyone logged in here is already aware of this. I remember when I first heard of eye wall cycles was in 1980 when that storm went in near Brownsville. The storm name started with an A and reached cat 5 before going in as 3.
Hurricane Allen
And super typhoons ?
https://www.britannica.com/story/what-is-the-difference-between-a-typhoon-and-a-super-typhoon
I was Wrong
Wrong about what? Hurricane Allen (1980) did hit land near Brownsville, TX as a Cat 3 storm, having been earlier Cat 5.
I had to travel to Houston for some work at NASA at the time. Learning of H. Allen before I left, I brought my surfboard with me. In those days, the second piece of luggage was free. I spent a number of fun days as the storm went into Mexico, but generated nice waves. Half of Houston left for the hinterlands, due to the Cat 5 prediction. The beach was quiet.
It’s now down to Cat 1.
😆😅🤣😂 PERFECT analogy!
That’s a weak summation.
I like this better:
“Until NBC News is interested in reporting real science, with all its uncertainties and caveats, their climate reporting will remain as sketchy as data on heat waves during the Stone Age.”
Nothing much doing on the disaster front.
Hurricane Erin…
Has the Met Office doing its usual thing. While it has mastered measuring temperatures to ~0.001C at imaginary weather stations, it’s having trouble forecasting this weekend’s weather.
Why?
“There’s uncertainty”
unsettled weather possible
could be
may
etc
https://www.metoffice.gov.uk/about-us/news-and-media/media-centre/weather-and-climate-news/2025/will-hurricane-erin-affect-uk-weather
And a word of warning…
Breezy conditions are expected
No kidding.
The biggest way to knock down this preposterous claim is to point to Hurricane Andrew in August 1992, Which was a Cat 1 storm one day, near Nassau Bahamas and the next day was a Cat 5 with 175 mph winds. Again this was 1992, when CO2 was a mere 356 ppm….
Claims about rapid intensification from marginally warmer temps refuted!
You don’t hear much about Andrew after it got in the Gulf and into Louisiana through the poorly populated Atchafalaya Basin where it blew over trees losing leaves which later killed fish from degraded leaves producing low oxygen waters. It was still blowing over trees more than sixty miles inland. Also killed lots of coastal fish from uncertain reasons, perhaps just the trauma. See the Special Issue 21 of the Journal of Coastal Research and other reports.
Cahoon, D. R., et al., 1995. The influence of Hurricane Andrew on sediment distribution in Louisiana Coastal Marshes. J. Coast. Res. SI. 21:280-294.
Stone, G. W. and C. W. Finkl. 1995. Impacts of Hurricane Andrew on the coastal zones of Florida and Louisiana:22-26 August 1992. J. Coast. Res. SI 21:364pp.
Stone, G. W., et al. 1995. Estimation of the wave field during hurricane Andrew and morphological change along the Louisiana coast. J. Coast. Res. SI 21:234-253.
Lovelace, J. K. and B. F. McPherson. 1998. Effects of Hurricane Andrew (1992) on Wetlands in Southern Florida and Louisiana. United States Geological Survey Water Supply Paper 2425.
It happens. H. Andrew ran over the Gulf Stream and picked up steam, barely missing Miami!
I drove through the area south of Miami, going to the Keys a year after Andrew. There was nothing but palm tree trunks standing. It was still a huge mess. H. Camille, 1969, ran over a warm ring in the Gulf, and ramped up into cat 5 just before ramming into the M-L coast. Attached is the famous B&A photo of the ‘well-built’ Richelieu Apartment on the coast. One woman convinced her husband and 22 other people to have a ‘hurricane party’. She was only survivor. True story.
NBC is the worst of the worst with the most failed regime Party hacks of them all.
They have to make up for lost time because there haven’t been many hurricanes to hype.
Noone has picked up my earlier question about the lack of southern hemisphere cyclones. May I offer the thought that it’s everybody going on and on about cyclones in the northern hemisphere actually creates them? Sort of supernaturally? I’m
If you mean the South Atlantic, look here:
South Atlantic tropical cyclone – Wikipedia
Follow up with Hurricane Catarina in the southern Atlantic Ocean in March 2004.
When somebody posts the word “noone” I automatically read it as “noon” or “none.” I’m used to the word “nobody.”
How did NBC miss that “The Late Show With Stephen Colbert” failure was a product of [viewer] Climate Change
The dam storm isn’t going to make landfall anywhere, yet they made this dishonest claim anyway.
high speed response digital thermometers to slow responding, low resolution mercury thermometers.
According to the Argo probes, the oceans have warmed up by around 0.02C. Just how much extra intensity does 2 hundredths of a degree give to a hurricane?
Hurricanes don’t do averages. Like politics, all hurricanes are local.
The fastest winds are found on the coldest planets. There’s probably a reason for this…
Wind speed depends on the pressure gradient, plus other factors. The pressure gradient depends, generally, on the temperature gradient. So, it is more a matter of temperature change over a distance than the temperature per se.
Journalists are not noted for their technical
education, by and large. But neither are
lawyers.
Erin will soon be gone like the Cheshire Cat.
Next six names are Fernand, Gabrielle, Humberto, Imelda, Jerry, and Karen. Fernand (a potential) is already being hyped in the media. Dare I say I’m expecting explosive intensification from Karen!
Imelda will wreak havoc on shoe stores.
The 30kt in 24hr critireon was first defined in this paper:
Large-Scale Characteristics of Rapidly Intensifying Tropical Cyclones in the North Atlantic BasinJohn Kaplan and Mark DeMaria
Publication: 01 Dec 2003
DOI: https://doi.org/10.1175/1520-0434(2003)018<1093:LCORIT>2.0.CO;2
Page(s):
1093–1108
It was meant to encompass the top 5% of storms’ deepening rate.
Thanks for the reference.
Canada’s publicly-funded CBC is among the biggest culprits when it comes to equating any even-slightly extraordinary weather or environmental event with climate change. Yet it never gives any examples of how fossil fuels have benefited the country’s growth and current well-being. And when it blathers on about the need for increasing energy from renewables,it conveniently downplays the fact that the country already generates nearly 60% of its electricity from hydro dams. It also downplays the fact that in last April’s federal election, both leading political parties promised to eliminate the much-reviled carbon tax if elected, an act that shows exactly how unconcerned Canadians are about climate change when combating it has done nothing except raise taxes and overall living costs, while the country isn’t coming anywhere close to reaching its emissions-reduction targets But don’t expect the CBC to remind us of all this; instead, it keeps telling everyone of the urgency of climate action despite the public’s rejection of most of its rhetoric. .
Climate change controls the weather is the narrative that is being pushed.
But since climate is defined as 30 years of weather in a given area, the weather has to change first and for 30 years in order for the climate to change.
Since cause and effect are necessary for any logical assumption to be claimed, NBC is abandoning that and instead claiming that the effect is causing the cause.
It’s circular logic rejected by most educated people who can think and reason. Therefore NBC is engaging in bad journalism. Either that, or they are purposely lying. There is no other possible reason.
Thirty years is meaningless in terms of ‘climate’. It is the approximate memory span of a human; about 40% of a human life, and has little to do with climate at any scale.
El Nino is referred to as a ‘climate event’, recurring every 3-8 years, mainly because it has global effects. So do the seasons. So, is El Nino really climate change? Or, is it just a slightly longer weather pattern? El Nino is hardly the same, event after event. Sometimes El Nino looks more like La Nina – witness the 2016 Godzilla El Nino. And, do not forget, the Pacific Oscillation resembles the El Nino pattern, but on a multidecadal time scale.
The climate modelers do not like you if you ask about El Nino, since the models have NO skill at all, in spite of claims to the contrary.
One point is certain – the climate-mongers cannot wait for climate disaster to happen.
Frustrating for them, is it not?. Not to worry, another mongering will occur to them in due time.
.
People who complain about accepted definitions miss the point.
Using defined terms are the basis of all rational thought. It is what it is.
When you refuse to use them, then your argument fails every time.
Bloodletting was accepted practice. The Earth was accepted to be flat. Superstitions were accepted as facts – vampires, werewolves. and on and on. Then, science prevailed.
Lets give the NBC credit first.
1) The climate does change, 99% naturally. The other 1% is still open for discussion
2) They did write a report.
Given that real reason for rapid acceleration is not known, the report is misleading and simplistic.
If Dr Judith Curry does not know what causes rapid intensification, the writer of the NBC report certainly does not either.
The wonderful thing about imagination, you can make pretty much anything credible and work inside your head, but once you write it down and present it to the world for scrutiny, it rapidly intensifies into category five BS.
Have a wonderful day fellow Skeptics.
Martin
H. Erin, the perfect storm: Missed everything and might bring some needed rain to Britain!
What more could we ask?
To Lion Heart: The NECESSARY CONDITIONS for a hurricane are that the latitude be >4 degrees for the Coriolis Force to be sufficient to get the storm turning, the sea surface temperature must rise over 27C, and the mixed layer must penetrate to over 100 meters to have enough thermal energy to start and sustain a hurricane. Hurricanes rarely start about 15 degrees N. the water is too cold.
Taken together, the southern hemisphere achieves the conditions much less often than the northern hemisphere, especially in the cool South Atlantic. It is the influence and presence of Antarctica.