From NOT A LOT OF PEOPLE KNOW THAT
By Paul Homewood
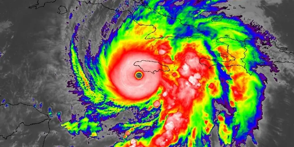
While we wait for daylight to assess the damage from Hurricane Melissa, I am not going to let this outright lie from the BBC to pass without comment:

https://www.bbc.co.uk/news/live/cvgvexdjp1xt?post=asset%3A83998b52-4696-491d-a219-a0d877edc50a#post
This appeared on the BBC Live commentary soon after landfall, and has been linked to several times in latter updates.
This is the comment I refer to:
The frequency of very intense hurricanes such as Melissa is increasing
This simply is not true.
It is impossible to accurately compare hurricane data today with pre-satellite events, when many mid-ocean hurricanes were missed.
But, as hurricane experts continually point out, you can measure trends with land falling storms, which did not need satellites or hurricane hunter aircraft to record them.
Below is NOAA’s assessment of all Atlantic hurricanes which made landfall as Cat 5s:

https://en.wikipedia.org/wiki/List_of_Category_5_Atlantic_hurricanes
I fail to see any evidence to support the BBC’s claim. Including Melissa, there have been seven such hurricanes Andrew in 1992. Since the first in 1924, there have been 20 in all.
Remember too that NOAA have repeatedly maintained that there is “no strong evidence of century scale increasing trends” in the frequency of major hurricanes:

https://www.gfdl.noaa.gov/global-warming-and-hurricanes
It is contemptible that the BBC should deliberately to ply global warming propaganda when a hurricane is in the middle of devastating a country. It is even worse when they don’t even get their facts right.
CORRECTION
I have corrected the number of hurricanes since 1992 to seven from five
“It is contemptible that the BBC should deliberately to ply global warming propaganda…” What?
Obviously should be “two-ply.” You know, for double the excrement.
I heard it on ABC first. Not sure where they got it, but I can render a reasonable guess.
Interesting hurricane counts
20 year separation
1920 – 1940 – 5
1940 – 1960 – 1
1960 – 1980 – 5
1980 – 2000 – 2
2000 – 2020 – 6
2020 – Current – 1
40 year separation
1920 – 1960 – 6
1960 – 2000 – 7
2000 – Current – 7
60 year separation
1920 – 1980 – 11
1980 – Current – 9
Not a whole lot of variation
Be fair, the BBC has been desperate for a climate something to crow about. And here it is.
But where did all the other storms go?
Out to sea.
The other storms went through the door with the ice age.
The end of snow was also their end.
Nowadays you have only Cat 3 hurricanes who identify as Cat5
and categoryfluid tropical storms with pronouns.
The wind speeds they are giving us would have left nothing standing. The damage they are showing the public does not correspond with the wind speeds.
More like here it isn’t. Like the rest, this hurricane is WEATHER, NOT CLIMATE.
The BBC pushes the global warming/climate change agenda at every opportunity. Sometimes when it’s not relevant.
They must have missed Bill Gates change of heart.
How does the BBC explain the Savanna-La-Met Hurricane of 1780 during the LIA and the American War of Independence? https://www.aoml.noaa.gov/hurricane_blog/235th-anniversary-of-the-savanna-la-mer-hurricane/
The first 12 minutes of last evening’s BBC news coverage was exclusively on Melissa, as though there was no other news of importance in the world. It included an interview with their joke of a ‘Climate Correspondent’. The BEEB is obsessed with climate change and has lost all vestiges of objectivity on the subject.
Well, if you start to doubt their AGW coverage, what else might you stop believing?
I actually believe every word about the Ukraine war,
though I simply do not understand why Ukraines superarmy after an endless 3 year winning streak is begging for a ceasefire now.
And why do they need western support if the Russians are such incompetent,disorganized,undisciplined bunch of cowards?
Lindsay Graham with a pink waterpistol filled with Chanel nr5 should be enough to keep the Russians at bay.
Maybe the Ukrainians got so many game changers from the west that they no longer know which game is being played.
Or maybe the reporting is on climate expert level.
Or, just maybe, there are so many new Russian conscripts being fed into the war that the Ukrainians just have to keep on keeping on?
You cannot trust the msm on anything important/ political sensitive.
That goes for anything in relation to Climate and NATO. Just reverse it.
Because one thing is obvious: instead of a diversity of views and opinions we get 1 (narrow band) narrative.
Chomsky’s book ‘ manufacturing consent’ lays it out. First you ( severly) limit the bandwidth of the ‘debate’.( like in: how many weapons do we need to send to Ukraine and is it enough, instead of SHOULD we send any and consequences). You then handpick the people allowed on the platform with a dissenting voice for the others to gang up on. And those platforms are filled w the right kind of ‘experts’ to solidify the message. ‘Reliable sources’ to maintain the establishment’s position. And tell the audience the dangers of spreading ‘misinformation’ while actually doing it themselves.
Classic propaganda..
“though I simply do not understand why Ukraines superarmy after an endless 3 year winning streak is begging for a ceasefire now.”
Perhaps the Ukrainians don’t seek a war. But sometimes there is no other choice than to engage in war. For Ukraine it is a matter of survival. For Putin, it is an optional war. Putin chooses war, and Ukraine chooses to defend itself.
From what I see, the Ukrainians are winning this war. Putin is in a worse position every day, taking thousands of casualties every week. Now, new weapons shipments to Ukraine, and the Trump sanctions on Russia are going to take hold in Russia, which will just make matters worse for Putin, and better for Ukraine.
Where are those people who said Trump would abandon Ukraine? Got it wrong, didn’t you. I wonder if Putin was one of those who misunderstood Trump and was fooled by Radical Democrat lies about Trump and Ukraine.
Now, everyone sees the truth about Trump and Ukraine.
I am sure it seems “optional” from a safe distance. I can understand why a nation would feel threatened by an encroaching nuclear-armed force like NATO, possibly planting missiles right on their border. If a nation that openly considered my country an enemy placed armaments in Mexico, I do not think concern would be optional.
Also, considering the intentional violation of the Minsk Accords by Western powers and the violation of the promise that NATO would not seek to expand, can anyone wonder why Putin has no reason to trust the “good intentions” of the Western alliance?
Ukraine
So the strongest hurricane in the world this year hits a former British colony, which has a lot of former residents who have their families back in Jamaica causing major devastation! Of course they’d give it extensive coverage! Three category 5 hurricanes in one year is extremely unusual, resulting in an above average year for ACE.
The current Atlantic hurricane season, which is ongoing as of October 29, 2025, has an Accumulated Cyclone Energy (ACE) index of 152.8. According to the classification criteria used by NOAA for the Atlantic Ocean, a season is considered “extremely active” if its ACE index exceeds 159.6. Since the current ACE value of 152.8 is below this threshold, the 2025 season is not classified as extremely active. However, it is close to the threshold, placing it near the upper end of the “above-normal” catego
Yes Bob. On this site a week ago this was posted: “The Hurricane Season That Still Isn’t”, it was heavily critical of NOAA’s prediction of a “more active than average season”. It certainly has met that target. The actual prediction was 60% chance of an above-normal season and 30% chance of near-normal, also 13-19 named storms (Melissa is the 13th). As you point out it’s quite possible that it will end up being an “extremely active season” based on ACE.
Used to be only hurricanes were named. Now anything with wind or rain or dark of night gets a name.
Well they ought to round up these families and put them jail, or make them tidy up their damage.
Show me the damage corresponding with ‘the strongest hurricane in the world this year’. There should have been nothing standing .
Most of the western part of the island is cut off and flooded and with the lack of power we have not yet seen the damage. During the next week’s we’ll have more evidence. Here’s a photo of the port of Black River:
?quality=75&auto=webp
It was a devastating storm.
As such it did not need the added hyperbole in the news story.
I never said that it wasn’t a devastating storm.
“Three category 5 hurricanes in one year is extremely unusual”
You don’t know that.
How many Cat 5 hurricanes occurred out in the Atlantic Ocean during the times before we had satellites and airplanes to hunt them down. Nobody knows the answer to that, including you.
So you don’t really know what is usual and unusual when it comes to Cat 5 hurricanes, now do you.
Yes I do! The last time it happened was 20 years ago and before that never in the 50 years of accurate satellite tracking. Twice in 50 years is what I would term extremely unusual.
Sample size is too small.
Unusual, yes, extremely unusual is not supported.
FYI, 20 years ago, was not “climate change” not as bad as today? How did we get 3 back then?
I would consider 4% probability as supporting ‘extremely unusual’. There’s also a good chance that this year will reach the ‘extremely active’ category based on ACE.
The problem is the addition of “in the world” is alarmist.
Cat 5 as it made initial land fall. Cat 4 as it cross the island. Cat 3 as it returned to sea. Cat 2 as it moved on. And all of this is due to “Climate Change?” As slow (1 to 8 mph) as that hurricane moved it is highly unlikely that the ocean waters were that much different temperature wise.
Why is that ‘alarmist’, it’s true! I didn’t see you criticize the post about it being the ‘coldest October in the Antarctic in another post a week ago, which was blatantly untrue.
When is COP 30?
Do this search: When is COP30? The result is Nov. 10-21, 2025.
What is your computer OS? My OS is MS 11 and I use Bing for a simple search or CoPilot for more a complex search.
COP is Conference of the Parties.(to the United Nations Framework Convention on Climate Change (UNFCCC)). 30 is something like the 30th anniversary of something.
Meanwhile, over on the American side of the pond, there is this gem statement from the PBS NewsHour’s coverage last night of the hurricane:
What I’m waiting for is Clima-Change™ being able to make hurricanes so strong and intense and yet so small that they can’t be seen from space. It is, after all, the GoreSciencePhenomenon™ which can accomplish pretty much anything.
Since the satellite era, what hurricane’s “sheer size” that was NOT visible from space?
Even before the satellite era, I’m pretty sure that all the storms were visible from space. It’s just that us earthlings lacked the ability to see them from that perspective.
About seeing hurricanes: Al Gore’s book “Our Choice: How We Can Solve the Climate Crisis has a “doctored” cover {new editions may have replaced it}. The original had hurricanes spinning backward, one over the Equator, a missing Cuba, and no Arctic Ocean ice. https://wattsupwiththat.com/2009/11/19/not-finding-any-gore-airbrushes-in-hurricanes-for-his-new-book/
Near the end it has: Here’s the book cover – – it doesn’t open.
“a missing Cuba,”
At least now, it won’t get in the way of the 1,000s of hurricanes predicted.
Did it sink like Guam or did it melt in the boiling sea ???
I don’t think Representative Johnson thought Guam was going to sink. Rather, he thought it might tip over, if too much military equipment was put on one side.
This guy is representing us in Congress!
Look, publicly funded outlets such as the BBC, Canada’s CBC, Australia’s ABC, America’s NPR, etc will continue to spout all kinds of abject ideological leftist bullshit as long as they aren’t held accountable by the governments on behalf of the taxpayers of those countries.
These institutions were among the first targets to be captured by “The Long March Through The Institutions”.
Propaganda became their primary purpose for the global socialist cause.
CAGW is the most effective tool in the toolbox for them.
What’s the remedy?
De-fund the lot of them.
They won’t survive as market-serving enterprises.
NPR RIP?
We can only hope so.
Suggest: “I fail to see any evidence to support the BBC’s claim. Including Melissa, there have been seven such hurricanes” since “Andrew in 1992. Since the first in 1924, there have been 20 in all.”
I ran across this interesting suggestion calling difficult to name cyclones from interaction between cold and warm air masses “half-breeds” Did I read somewhere that these have been named only in this century? As a long time occupant and sometime escapee from these I would suggest a more sophisticated naming system which is certainly not a new idea. The profession deserves great credit for better predictions, but not exaggerations which seem to be widespread in science today, juvenile, as they used to be mostly limited.
Dunn, G. E. and Staff. 1964. The hurricane season of 1963. Monthly Weather Review. 92(3):128-138.
The BBC1 main evening news again described it as the strongest hurricane to ‘EVER’ hit Jamaica and stated 185 mph winds again.
This BBC ‘fact’ is simply unknowable and should be checked by their Verify division! The time period in which satellites/planes have been able to determine the lowest pressure and highest winds is tiny compared with ‘ever’, let alone the last few hundreds of years.
I’ve yet to to see acres of totally flailed and stripped vegetation and entirely flattened streets as 185 mph would cause.
Mercifully so far casualties seem light, so almost certainly not the worst by that standard compared to storms mentioned here:-
https://oletimesumting.com/2016/06/05/killer-hurricanes/
Casualties are increasingly light because of overall improvement in infrastructure reliability and building construction codes. Modern buildings are generally far more robust than what was built a century ago.
Never say “ever”.
Look up the Labor Day hurricane of 1935. Same stats as this one.
Al Roker on NBC Nightly made the same statement, as he usually does with every big storm.
At least AI BBC lies will be easy to install. It’s so easy a cave man will be able to run it.
Should anyone expect a climate alarmist outfit like the BBC to include all the facts or even get them right regarding any weather/climate extreme? As I’ve already said, it and other media outlets like it are highly likely to be funded by government agencies and environmental groups whose main objectives are to push the climate-crisis narrative, so if they bend the facts oner way or the next, it’s to be expected. Therefore, consumers, taxpayers and realists have to search the other side of the picture to get the most likely explanation for any climate-related event.
Can’t help but think of 1969’s Camille, and then it seems I’ve heard something about the 1900 Galveston hurricane also. Catastrophic damage from both.
I was in New Orleans during the summer of ’79 (went through ‘Hurricane Bob’ — — locals told me afterwards that they typically had daytime thunderstorms that were worse than Bob … ), Got to drive east along the Gulf coast and see some of the damage that was still evident ten years later. I especially recall the freighter, sitting on its side, about 120 metres on the land-ward side of the highway I was on.
My sister lives in Ft Myers, and when the TD began to form, I advised her to keep a close watch on what became Melissa. A few days later, I saw that a cold front from the Pacific would be pushing Melissa away from Florida, about the time it would be emerging into the Atlantic, so I sent a cautious, ‘all clear’. She did keep close watch, and gradually relaxed as the forecasts began to make Melissa look like a fish event, once it left the Caribbean.
I hope the places impacted are able to make a speedy recovery from their losses from this storm.
At 500hPa a lot of that air from the north was feeding the Melissa system.
Camille was still raging when it hit our house just outside of Memphis. That was back when global cooling was in fashion.
I don’t care so much about media hype like this, but what worries me more is their ability to pick up on deliberately deceptive IPCC wording. They say “increases in the proportion of intense TCs (Category 4–5)” All this means is that strong cyclones are not predicted to diminish as much as weaker ones
Of course they lied, it’s the BBC.
The other night a new MLB playoff record was set as it was the first time a player reached base nine times in a single game, shattering the old record of six. I blame this on baseball change, lol.
Of course this is silly, but so is blaming every new weather record on climate change. As time goes on it is a statistical likelihood that new records will be set. What matters is the overall trend, and so far there is no there there withvrespect to hurricanes.
I’m sure Justin Rowlatt on the BBC used to say that hurricanes were becoming more frequent when he was warning of Climate catastrophe, but it seems that now he’s had to modify his warnings to intensity because nature doesn’t listen to “some scientists”.